¿CÓMO SIGUE LA CAUSA?
Se complica la situación judicial del árbitro que atacó a patadas al caniche de su exnovia
:format(webp):quality(40)/https://eldiacdn.eleco.com.ar/adjuntos/240/imagenes/001/137/0001137551.jpg)
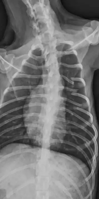
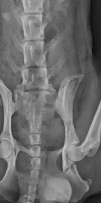
Arian González fue imputado por maltrato animal. A raíz de los golpes, el can sufrió seis fracturas en las costillas y deberá ser intervenido quirúrgicamente.
El fiscal Marcelo Romero de la UFI 6 citó para el próximo miércoles 9, el joven de 25 años que era árbitro en una liga del interior de la provincia, pateó a una perrita caniche toy. Luego que se viralizaran las imágenes, el agresor perdió su trabajo en un comercio y fue apartado como árbitro y además su novia lo dejó. La agresión se dio en el contexto de una pelea con su ex novia. Ella aclaró que nunca ejerció violencia contra ella, tras la discusión descargó su furia contra la perra que sufrió quebraduras en seis costillas además de una grave lesión en la cadera. Habló la exnovia del hombre que atacó al caniche Ayelén se encontraba en el trabajo cuando se enteró de lo que había pasado. Desde la administración de su departamento, del cual no trascendió la calle, le mostaron las imágenes. "No podía cerrar el local, me quedé muy angustiada. Me temblaba todo el cuerpo", contó a La Cielo 103.5. En diálogo con móviles de televisión aseguró que ya hizo "todo lo que tenía que hacer" y que estaba "sorprendida" por el accionar de González. Además, contó que "nunca" habían discutido, ni él le había "levantado la voz". "Me pidió disculpas, no hablamos más. Me llamó la familia preocupada por toda la situación", comentó ante las cámaras de televisión.
ESTE CONTENIDO COMPLETO ES SOLO PARA SUSCRIPTORES
ACCEDÉ A ÉSTE Y A TODOS LOS CONTENIDOS EXCLUSIVOSSuscribite y empezá a disfrutar de todos los beneficios

:format(webp):quality(40)/https://eldiacdn.eleco.com.ar/adjuntos/240/imagenes/001/139/0001139290.jpg%3F0000-00-00-00-00-00)
:format(webp):quality(40)/https://eldiacdn.eleco.com.ar/adjuntos/240/imagenes/001/139/0001139288.jpg%3F0000-00-00-00-00-00)
